Sirex Woodwasp
General Information

Figure 1. The European woodwasp (Sirex noctilio) has the potential to become a serious invasive pest across the South and in Arkansas. Photo courtesy of Vicky Klasmer, Instituto Nacional de Tecnologia Agropecuaria, Bugwood.org.
When we discuss the European woodwasp (aka Sirex woodwasp) (Fig. 1), we need to be very clear about which woodwasp we are discussing. There are several native Sirex woodwasps. They are not the topic of this discussion. The topic of this discussion is the non-native European Sirex woodwasp (Sirex noctilio Fabricius (Hymenoptera: Siricidae)) that is native to Europe, Asia, and North Africa. It will be called the European woodwasp in this document to distinguish it from our native Sirex woodwasps. Please note that many older publications refer to this insect as the Sirex woodwasp.
See this University of Arkansas Division of Agriculture fact sheet for more information about the European woodwasp.
Invasive Woodwasp, Sirex noctilio: A Potential Pest of Pines in Arkansas
This invasive pest was first identified in the U.S. in 2004, after it apparently arrived in solid wood packing material, and has become one of the most commonly detected pests at U.S. ports of entry. The likelihood that it will spread into the South is considered high.
The primary host for the European woodwasp is pine. All of our southern pines are susceptible to the woodwasp and the fungus it carries. Where this pest has been introduced to South America, mortality rates of 80% have been observed in introduced North American pines, although some question whether these trees will be as vulnerable in their native range.

Figure 2. This map displays an assessment of the risk of European woodwasp infestation based on presence of suitable habitat. Map courtesy of the USDA Animal and Plant Health Inspection Service (APHIS).
Figure 2 is a map which displays a risk assessment conducted by APHIS. Please notice that the greatest risk is marked in red with orange at the next step down. Also, notice that a big chunk of southwest Arkansas is orange. We are within the range that European woodwasp is ultimately expected to occupy. So far, surveys for European woodwasp in Arkansas have not found the pest. The link below leads to a set of European woodwasp survey maps provided by Perdue University.
Pest Tracker – National Agricultural Pest Information System
Counties marked in green on the map have been surveyed without finding any European woodwasps. You can click the Pest Tracker map to zoom in for a more detailed look at a particular area.

Figure 3. When mature, European woodwasps exit the tree, leaving a 3/8-inch ( 10 mm) diameter hole. Photo courtesy of Dennis Haugen, Bugwood.org.
Life Cycle
Adult European woodwasps emerge from trees in late summer, leaving a round exit hole (Fig. 3) that is about 3/8 inch (10 mm) diameter. As the female woodwasps exit the tree, they collect spores of a symbiotic fungus (Amylostereum areolatum (Chaillet ex Fr.) Boidin) and store it in abdominal glands. In as little as one day after exiting the tree, the females can lay eggs.

Figure 4. European woodwasp larvae tunnel through the wood and feed on the fungus introduced to the tree by the female woodwasps. Photo courtesy of Vicky Klasmer, Instituto Nacional de Tecnologia Agropecuaria, Bugwood.org.
European woodwasps lay eggs in the outer sapwood of pines. When the female lays eggs, she drills one to six holes in several clusters, then deposits an egg and mucus in each hole. When more than one hole is drilled, one of the holes is often packed with fungal spores. After the larvae hatch, they tunnel into the wood (Fig. 4) and feed on the fungus introduced to the tree by the female. The mucous together with the fungus, kills the tree. The mucus is toxic to pines and will cause visible symptoms. Females can lay from a few to a few hundred eggs. If a female woodwasp has mated, her eggs will produce male or female larvae. If she has not mated, the eggs will all produce male larvae.

Figure 5. European woodwasps reduce the salvage value of trees by boring tunnels through the wood. Photo courtesy of Vicky Klasmer, Instituto Nacional de Tecnologia Agropecuaria, Bugwood.org.
Eggs will hatch after nine or more days, with the length of incubation determined by temperature. Incubation period in Arkansas should be relatively short. Larvae bore through the wood for 10 to 11 months as they develop, finally pupating in the wood near the bark (Fig. 5). Pupation requires two to three weeks. Woodwasps emerge from the cocoons and bore to the exterior of the tree, leaving the characteristic round exit holes (Fig. 3).
Identification

Figure 6. This female European woodwasp specimen clearly shows the short horn and the longer ovipositor immediately beneath the horn. Photo courtesy of Steven Valley, Oregon Department of Agriculture, Bugwood.org.
European woodwasps are technically horntails and lack a stinger, thus they don’t sting as one would expect from the name. The namesake horn is a short spear protruding from the last segment of the abdomen of both sexes. Don’t mistake the ovipositor of the female European woodwasp for the namesake horn (Fig. 6).

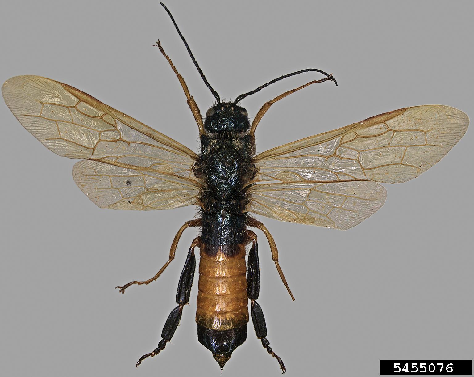
Figure 7. The female European woodwasp is approximately 0.6 to 1.4 inches (15 to 36 mm) long. It has a steel blue body and dull orange legs. Photo courtesy of Pest and Diseases Image Library, Bugwood.org.
Female European woodwasps are larger than the males, approximately 0.6 to 1.4 inches (15 to 36 mm) long (Fig. 7). Male European woodwasps are approximately 0.4 to 1.3 inches (9 to 32 mm) long (Fig. 8). Unlike wasps we commonly encounter, the woodwasps have no narrowed waist. Males are black with a wide dull orange mid-abdomen band and translucent yellow wings. The front two pairs of legs are dull orange, while the first segment of the hind legs are dull orange and the more distal segments are black. Male European woodwasps also have black antennae. Female European woodwasps have the same translucent yellow wings that the males have, but have a steel-blue body. Legs are all dull orange and the antennae are black. Females are easily distinguished from the males by the presence of an ovipositor and the difference in color.

Figure 8. The male European woodwasp is approximately 0.4 to 1.3 inches (9 to 32 mm) long. It has a black body with a dull orange band around its abdomen. Its legs are a combination of orange and black. Photo courtesy of Steven Valley, Oregon Department of Agriculture, Bugwood.org.
European woodwasps can be mistaken for some of our native woodwasps. These two documents from the University of Maryland Extension and Colorado State Extension provide some tips for distinguishing between the native woodwasps and European woodwasp.
Sirex Woodwasp – Sirex noctilio Fabricius (Hymenoptera: Siricidae) – Tips start on Page 5 under “Look-Alike Insects.”
European Woodwasp/Sirex Woodwasp in Colorado – Identification of Insects and Damage of Similar Appearance – Tips start on Page 3 under “Regional Woodwasps of Similar appearance to the European Woodwasp.”
Symptoms and Damage
Symptoms of European woodwasp infestation are easy to recognize if one takes the time to investigate the causes of tree death. Some of the most visible symptoms include needles in the tree top turning brown and drooping as the tree begins to die (Fig. 9). Oviposition often results in dribbles of sap running down the tree trunk (Fig. 10). The white sap contrasting with the dark bark makes these easy to spot from a distance. The holes left by mature woodwasps exiting the tree also serve as an indicator that woodwasps are present (Fig. 3).

Figure 9. Drooping needles in pines often serve as one of the first indications of a European woodwasp infestation. If you see a pine crown comprised of drooping needles, investigate the cause. Photo courtesy of Dennis Haugen, Bugwood.org.

Figure 10. Pine rosin leaking from wounds resulting from oviposition often dribbles down the trunk of infested pine trees. Investigate the cause when you see a pine leaking sap from multiple points. Photo courtesy of Dennis Haugen, Bugwood.org.
Any pine showing these symptoms should be examines carefully to determine the cause of the symptoms. If you identify a tree that shows these symptoms and cannot find an obvious explanation for the symptoms, contact your county extension agent for assistance.
Stop the Spread
We, as foresters and forestland owners, can limit the spread of European woodwasp. The most important step we can take is to watch closely for indications of woodwasp infestation. When we observe symptoms that might indicate a European woodwasp infestation, we need to look carefully at the affected trees to determine the cause of the symptoms.
European woodwasp, like many insect pests, prefers trees that are already under stress. Especially during times of drought, we need to pay attention to the health of our pine stands. Thinning pine stands to remove diseased or otherwise less vigorous trees and to maintain an appropriate basal area will make the stands less attractive to European woodwasps.
European woodwasp is a relative new kid in town on our list of invasive pests. So far, it has only been found in Pennsylvania, New York, New Jersey, Connecticut, and Vermont. However, as you have seen, we are in an area with an estimated high risk. We are almost certain to see the European woodwasp at some point in the future.
Resources
For more information and resources about identifying and controlling the European woodwasp, see the following websites and fact sheets.
Sirex woodwasp – from Wisonsin
The European wood wasp, Sirex_noctilio, is the January 2006 Invader of the Month – Maryland Department of Agriculture
Forest Health Alert: Sirex Wood Wasp – Delaware Forest Service
Exotic Pest Threats: Sirex Woodwasp – University of Maryland Extension
Sirex Woodwasp [Sirex noctilio Fabricius] – National Park Service
Pest Alert: Sirex woodwasp – Sirex noctilio F. (Hymenoptera: Siricidae) – USDA Forest Service
European Woodwasp/Sirex Woodwasp in Colorado – Identification of Insects and Damage of Similar Appearance – Colorado State Extension
Sirex Woodwasp in Georgia – Georgia Forestry Commission
Invader of the Month – Maryland Department of Agriculture
Sirex noctilio / Sirex Woodwasp – TexasInvasives.org
Sirex Woodwasp Emerging – Cornell University via YouTube
New invasive woodwasp – Let’s wait and see… – Michigan State University Extension

